Выгодное предложение
єОселя 3%
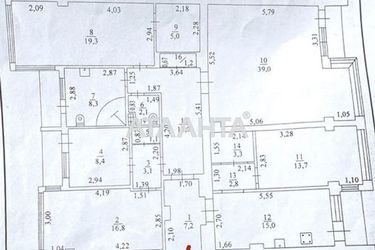
Многокомнатная квартира по адресу Французский бул. (площадь 165 м²)Код объекта:283850
Чтобы сменить валюту кликните по кнопке
185 000 $
Добавить в избранное
Поделиться
Ближайшая инфраструктура
Банкомат
618 m
Продукты
640 m
Школа
821 m
Университет
821 m



















































