Выгодное предложение
Ділянка за адресою Фонтанська дор. (площа 5,6 сот)Код объекта:388175
Чтобы сменить валюту кликните по кнопке
380 000 $
Добавить в избранное
Поделиться
Описание
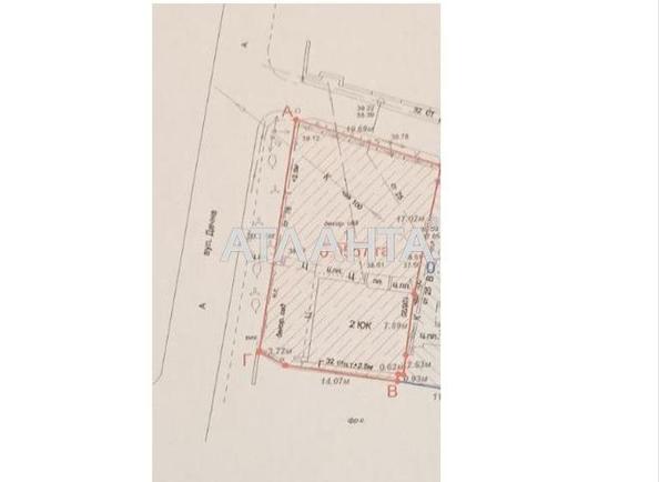
Один з найдостойніших об'єктів нерухомості, що продається в цій локації!!!
Розташований у курортній зоні на 15 станції Великого Фонтану, поряд спуск до моря, ресторан "Риба".
Ділянка 5.57 соток землі, правильної форми, з широким фасадом 30м.
Знаходиться в закритому кооперативі, що охороняється, в 5 хвилинах від моря.
Ділянка правильної форми. Повний пакет документів на землю.
Два входи на ділянку і з боку фасаду та з кооперативу. Можна збудувати два будинки.
Розвинена інфраструктура, поряд школа, лікарня, парк, громадський транспорт. Телефонуйте! Будемо раді організувати перегляд!
Розташований у курортній зоні на 15 станції Великого Фонтану, поряд спуск до моря, ресторан "Риба".
Ділянка 5.57 соток землі, правильної форми, з широким фасадом 30м.
Знаходиться в закритому кооперативі, що охороняється, в 5 хвилинах від моря.
Ділянка правильної форми. Повний пакет документів на землю.
Два входи на ділянку і з боку фасаду та з кооперативу. Можна збудувати два будинки.
Розвинена інфраструктура, поряд школа, лікарня, парк, громадський транспорт. Телефонуйте! Будемо раді організувати перегляд!













